Dal 6 febbraio partono le modifiche alla viabilità per la realizzazione della maxi rotatoria Statale 16/Consolare San Marino
Dettagli
3 Febbraio 2023
6 minuti
Descrizione
Avanzano i lavori sulla Statale Adriatica con la programmazione che vede già avviati due cantieri – quello all’altezza del tratto della Statale 16 con via della Fiera e quello per il completamento della rotatoria via Montescudo/Coriano – e che vede in fase di avvio il più importante, quello per la realizzazione della nuova maxi rotatoria SS16/SS72.
E’ questo il prossimo step dei lavori previsti da Autostrade per l’Italia di concerto con l’Amministrazione Comunale, al centro della seconda commissione consigliare riunitasi questa mattina. La seduta è stata l’occasione per ripercorrere e fare il punto su tutte le fasi dei tre cantieri in corso e per approfondire alcuni aspetti legati ai consistenti lavori che andranno, una volta conclusi, a eliminare definitivamente i semafori e a decongestionare il traffico su una delle strade più importanti della città.
Ad aprire i lavori della commissione gli assessori Morolli e Frisoni coadiuvati dai tecnici, il Rup di Autostrade per l’Italia David Giorgetti e il dirigente infrastrutture e qualità ambientale del comune di Rimini, Alberto Dellavalle, che hanno illustrato il cronoprogramma delle varie fasi dei lavori.
Sottopasso via della Fiera: sono partite il 30 gennaio le modifiche alla viabilità sulla Statale 16 con il restringimento (da 4 corsie a 3 corsie) sull’Adriatica all’altezza della rotonda con via della Fiera per l’entrata in esercizio della nuova bretella distribuita su 2 corsie dedicate al traffico veicolare in direzione Riccione e su 1 corsia dedicata al traffico veicolare in direzione Ravenna. Una configurazione che resterà in esercizio fino alla fine di giugno per consentire la costruzione del nuovo sottopasso ciclopedonale che manderà in pensione il semaforo attuale a servizio dell’attraversamento pedonale a raso. Da luglio, con il procedere delle lavorazioni, verrà attivata una nuova corsia ripristinando le 4 corsie con due flussi veicolari per senso di marcia (2 direzione Ravenna – 2 direzione Riccione), mentre in autunno è prevista la conclusione dei lavori.
Maxi rotatoria Statale 16 e SS72 San Marino: dal 6 febbraio entrano nel vivo i lavori per la realizzazione della nuova rotatoria all'intersezione tra SS16 e SS72 (Consolare di San Marino): si tratta dell’intervento più importante, che prevede la realizzazione di una rotatoria di più di 100 metri di diametro, che agevolerà il collegamento verso il centro e verso San Marino. Oltre alla rotatoria, l’intervento comprende la realizzazione di un sottovia stradale lungo la direttrice di Via Euterpe - Via della Repubblica con eliminazione dell'attuale intersezione a raso semaforizzata con i flussi in direzione mare-monte verso la Consolare di San Marino e la realizzazione di un nuovo percorso ciclopedonale con tre sottopassi, in grado di collegare il Parco della Cava con il comparto residenziale di via Montescudo.
Dal 6 febbraio è previso l’inizio delle prime fasi impattanti sul traffico che interessano l’intersezione con la S.S. 72.
Nella fase preliminare, della durata di circa 7 giorni, dopo di che il traffico viene ripristinato nella configurazione attuale, è previsto un intervento di asfaltatura su parte della S.S.72 (corsia lato AN) in prossimità della intersezione con la S.S.16 che comunque resterà aperta e funzionate. Tenuto conto dei flussi di traffico derivati dagli interventi in corso sulla S.S. 16 che producono inevitabili rallentamenti si è valutata e verificata tecnicamente a seguito di sopralluoghi con il soggetto appaltatore, la possibilità di mantenere percorribili due corsie di traffico della S.S. 72 (direzione monte-mare) una dedicata alla svolta verso sinistra direzione RA, su specifica corsia di canalizzazione, per chi proviene da San Marino, in modo tale da evitare di dovere dirottare tale traffico sulla rotatoria Montescudo per poi ritornare verso RA sulla S.S.16 oppure sul Viale Della Repubblica per poi tornare indietro vero la S.S. 16 o Via Euterpe, dalla rotatoria di Via Flaminia Conca, aree già sottoposte a incremento di traffico.
Dal 22 febbraio iniziano le attività di costruzione della rotatoria sull’attuale sedime della S.S.72, una fase lunga che prevede la rimozione di tutti gli impianti semaforici. Viene pertanto impedito il collegamento «monte-mare» attraverso la S.S. 16 e viale della Repubblica. Contestualmente vengono impedite le svolte a sinistra dalla S.S. 16 sia in direzione San Marino, sia in direzione mare. Il collegamento per le due direzioni citate è garantito attraverso le rotatorie di via della Fiera e di via Montescudo, poste a nord e a sud dell’intervento. Resta aperta la bretella di collegamento della S.S.16 verso la S.S.72 per chi proviene lato Ravenna, viceversa tutto il traffico proveniente dalla S.S.72 direzione monte-mare viene deviato su una porzione della futura rotatoria direzione sud verso la rotatoria Montescudo. Da qui potranno tornare indietro per andare verso Ravenna o andare diritto per andare verso Ancona. Il traffico proveniente da Via della Repubblica direzione mare-monte sarà deviato sulla Via Euterpe.
Da luglio la Statale 16 verrà deviata su una porzione della futura rotatoria, in modo da avviare il completamento dell’anello e del percorso ciclopedonale e verranno garantite due corsie in direzione Ravenna e una in direzione Riccione.
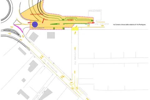
Completamento rotatoria via Montescudo: sono partite il 30 gennaio le modifiche alla viabilità per la realizzazione del sottopasso ciclopedonale che collega il parco di via Santerno con il percorso ciclopedonale previsto lungo via Coriano, dove sono in corso lavori di adeguamento della viabilità di via Coriano in corrispondenza dell’incrocio con Via Metauro che consentiranno di dare maggiore sicurezza alla circolazione. Un intervento caratterizzato da 4 fasi con modifiche temporanee della viabilità in base allo stato di avanzamento dei lavori. Durante le prime tre fasi l’accesso alla via Coriano dalla rotatoria Ss16 sarà interdetto al traffico. Dal 3 febbraio e per circa due settimane non sarà consentito l’accesso alla rotatoria sella statale 16 da via Coriano che sarà chiusa da dalla Statale 16 a via Metauro. In questa fase la via Coriano nel tratto non interessato dal cantiere, sarà a senso unico di marcia direzione mare-monte, dalla via Metauro alla rotatoria Rodriguez. I veicoli dei residenti e delle persone dirette al Colosseo (AUSL) potranno accedere al tratto non interessato dalla cantierizzazione attraverso la via Montescudo, via Metauro poi a destra verso monte. I veicoli in uscita dal Colosseo (AUSL) dovranno effettuare la svolta a sinistra. I veicoli provenienti dalla via Coriano direzione monte-mare giunti all’altezza della rotatoria Rodriguez, dovranno girare a destra verso mare (direzione Via Flaminia oppure alla rotatoria davanti all’INPS tornare indietro per riprendere la S.S.16); i veicoli provenienti da Via Montescudo direzione monte-mare dovranno girare sulla via Metauro poi girare a destra sulla via Coriano verso monte.
Prosegue il presidio da parte della Polizia municipale:
La Polizia municipale tiene monitorato il traffico durante tutte le fasi, con punti di presidi che varieranno in base all’avanzamento del cantiere. Dopo la partenza dei lavori con un presidio operato con una squadra di 26 vigili a turno, in questa fase il presidio avviene ad opera di 20 agenti che possono variare in base al traffico monitorato anche grazie all’ausilio delle telecamere. Il presidio continuerà anche nelle prossime settimane e nei prossimi mesi, affiancando i lavori dei maxi cantieri.
“Sarà l’anno delle rotatorie – commenta l’assessore ai lavori pubblici Mattia Morolli – per quello che è il programma di interventi decisivi su un’arteria stradale fondamentale per l’accessibilità e gli spostamenti sul territorio, che permetterà finalmente di rimuovere i semafori sulla Statale decongestionando il traffico. Occorre avere pazienza perché questi disagi sono necessari per migliorare la viabilità e ricucire finalmente la parte a monte con la parte a mare della Statale. Questo anche grazie agli interventi già realizzati pianificati sugli assi interni, come la rotatoria Bigno sulla Flaminia, che consentiranno di fluidificare il traffico che dalla nuova Statale si muoverà verso il centro e il mare. Stiamo incontrando anche i cittadini che risiedono nelle aree maggiormente interessate da queste fasi dei cantieri per tenerli costantemente informati e affrontare insieme questo tema cruciale per la viabilità”.



